920 Big Island Huntsville, Ontario P1H 2J2
$299,000
Presenting one of the most breathtaking lots on Big Island-Lake Vernon. This nearly 5-acre west-facing lot is a rare gem boasting beautiful sunsets and unobstructed panoramic views. The 540-foot shoreline is adorned with majestic towering white pines, cedar, and oak, while sculpted granite outcroppings create an incredibly stunning feature that captures the classic essence of the Muskoka scene. The natural contours of the rock and trees are integrated to form pathways that lead to three separate sun-soaked plateaus, which each overlook the Northern part of Lake Vernon (including a large portion of uninhabited land) and also each offering hidden spots, ideal for cozy cabins, saunas, relaxing hammocks, and decks. This amazing offering boasts an unparalleled blend of natural beauty, an expansive level forest of maples, and multiple potential build sites with lake views, sheltered by the beautiful surrounding topography. This serene and expansive forest presents the perfect opportunity to place a gorgeous cottage retreat, nestled amongst the maples. Enjoy the tranquility of nature while remaining conveniently close to amenities in the charming town of Huntsville. Just a quick ride away by car and boat, you'll find a variety of shops, waterfront restaurants, and community services to meet all your needs (located 5 min. boat ride to two different marinas. Then 15 min. by car to Huntsville from marinas or boat to Huntsville from Big Island). Convenience without sacrificing the quiet tranquility of nature. For water enthusiasts, this property offers access to 40 miles of boating on a four-chain lake system, joined together by the famous Muskoka River. This is an ideal location for year-round adventures. Site plan-approved drawings (3 Buildings, large dock) are available upon request, allowing you to envision your perfect getaway in this stunning Muskoka setting. Hop off your boat and into serenity. Don't miss your chance to own one of the most beautiful lots on Lake Vernon! (id:42776)
Property Details
| MLS® Number | X12318319 |
| Property Type | Vacant Land |
| Community Name | Stisted |
| Amenities Near By | Beach, Marina |
| Easement | Unknown |
| Features | Wooded Area, Rocky, Sloping, Waterway, Level |
| View Type | Lake View, View Of Water, Direct Water View |
| Water Front Type | Island |
Building
| Construction Style Other | Seasonal |
| Size Interior | 0 - 699 Ft2 |
Parking
| No Garage |
Land
| Access Type | Water Access, Marina Docking, Private Docking |
| Acreage | Yes |
| Land Amenities | Beach, Marina |
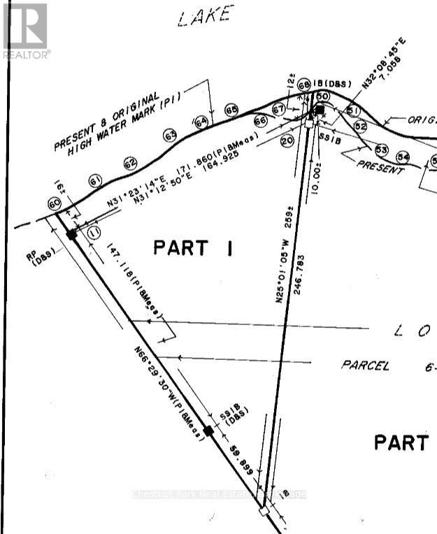
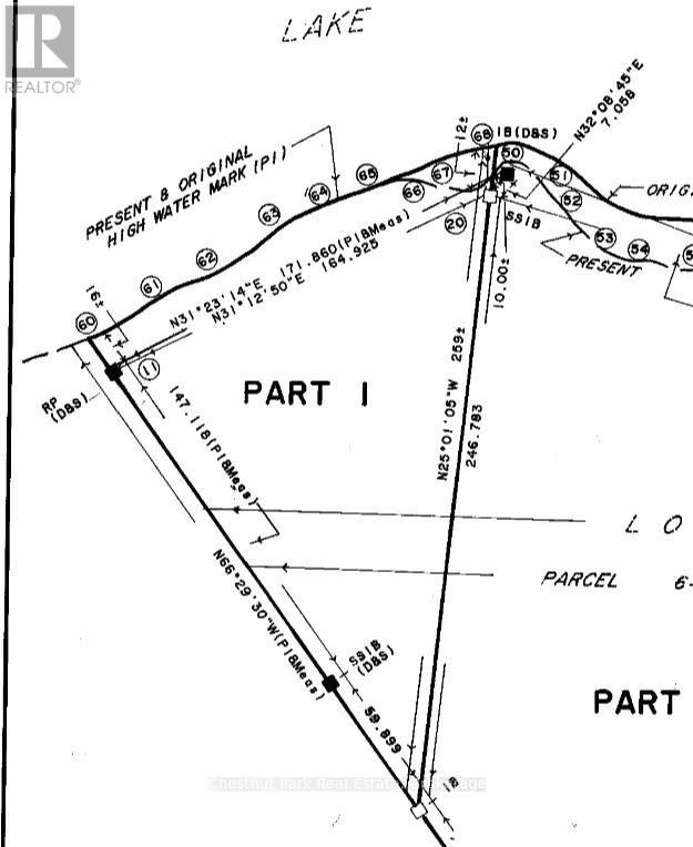
| Size Depth | 679 Ft ,6 In |
| Size Frontage | 541 Ft |
| Size Irregular | 541 X 679.5 Ft |
| Size Total Text | 541 X 679.5 Ft|2 - 4.99 Acres |
| Soil Type | Mixed Soil |
| Zoning Description | Sr4 |
https://www.realtor.ca/real-estate/28676944/920-big-island-huntsville-stisted-stisted
Unit 2 - 59 Main St East
Huntsville, Ontario P1H 2B8
(705) 789-1001
www.chestnutpark.com/
Unit 2 - 59 Main St East
Huntsville, Ontario P1H 2B8
(705) 789-1001
www.chestnutpark.com/
Contact Us
Contact us for more information



















































